Земельный участок без торгов
ИЗВЕЩЕНИЕ №22000154380000001664
о предоставлении земельного участка без торгов
Министерство имущественных и земельных отношений Республики Карелия
(далее – Министерство) в соответствии со ст. 39.18 Земельного кодекса Российской Федерации информирует о предоставлении земельного участка:
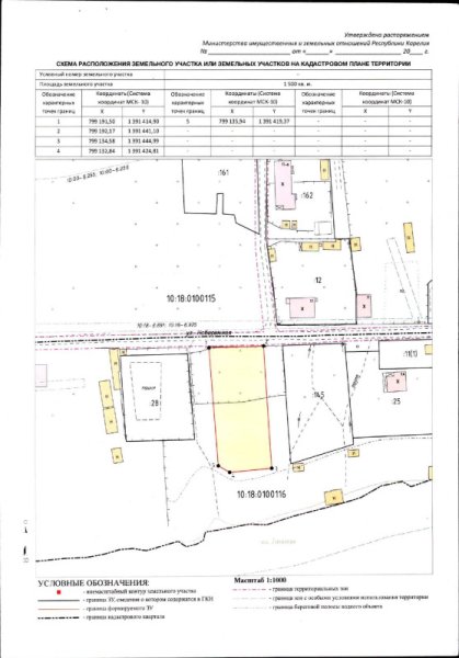
Лот 1. Земельный участок из земель населенных пунктов, расположенный в кадастровом квартале 10:18:0100116, площадью 1500 кв. м. Цель использования земельного участка: для индивидуального жилищного строительства. Местоположение: Республика Карелия, Лоухский муниципальный район, Кестеньгское сельское поселение, п. Кестеньга.
Граждане, заинтересованные в приобретении прав на вышеуказанный земельный участок, в течение 30 дней со дня опубликования и размещения извещения, вправе подавать заявления о намерении участвовать в аукционе по продаже земельного участка.
Дата окончания срока приема заявлений: 09.12.2025 до 15:00.
Адрес места подачи заявлений: 185031, Республика Карелия, г. Петрозаводск, наб. Варкауса, д. 3, 1 этаж, отдел приема и выдачи документов ГКУ РК «Управление земельными ресурсами», адрес эл. почты auction@uzr-rk.ru.
Способ подачи заявлений: любым удобным способом, в соответствии с законодательством Российской Федерации (в виде бумажного документа непосредственно при личном обращении, или в виде бумажного документа посредством почтового отправления, или в виде электронного документа посредством электронной почты на адрес auction@uzr-rk.ru (подписываются квалифицированной электронной подписью заявителя)).
В заявлении необходимо указать: фамилию, имя, отчество, место жительства заявителя и реквизиты документа, удостоверяющего личность заявителя (для гражданина).
К заявлению необходимо приложить: копию паспорта (для гражданина); документ, подтверждающий полномочия представителя заявителя, в случае, если с заявлением обращается представитель (доверенность, копия паспорта представителя).
Получить более подробную информацию можно по адресу: Республика Карелия, г. Петрозаводск, наб. Варкауса, д. 3, каб. 24. Пн, Вт, Чт 10:00-17:00, обед 13:00-14:00 (среда и пятница – неприемные дни). Тел. 8-8142-599-850.
